OBERA. Desde hace 17 años, vecinos de Villa Cristen reclaman al municipio por una plaza y el pavimentado de algunas cuadras que les permita llegar y salir del barrio de viviendas Iprodha ubicado sobre calle Concordia, que hace una suerte de isla, ya que fueron empedradas las calles internas pero no así su conexión con el resto de la ciudad, y en días como estos de intensa lluvia, el barro hace intransitable sus calles. INFOBER accedió a la larga lista de documentos, ordenanzas aprobadas y pedidos hechos por la organización barrial particularmente al ex intendente Ewaldo Rindfleisch que estuvo doce años al frente de la Municipalidad de Oberá, sin embargo las obras no se hicieron.

Al respecto, Gladis Jost, Secretaria de la Comisión Vecinal contó a este medio que también han pedido audiencia al intendente actual Carlos Fernández con fecha del 6 de junio, pero «hasta hoy no nos recibió, Fernando Vitellí (el Secretario privado) quedó en llamar a la presidente (Yolanda Espíndola) hace 15 días y nada…pidió ya como cinco veces el número de teléfono cada vez que se le llama, pero para nada..hoy las calles son un peligro, sólo con botas de goma se puede pasar…a raíz del mal estado de las calles, los vecinos preguntan que pasó con Fernandez que no atiende a la comisión» indicó.
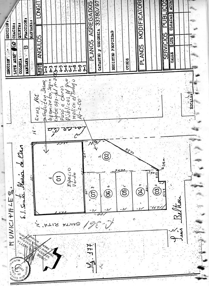
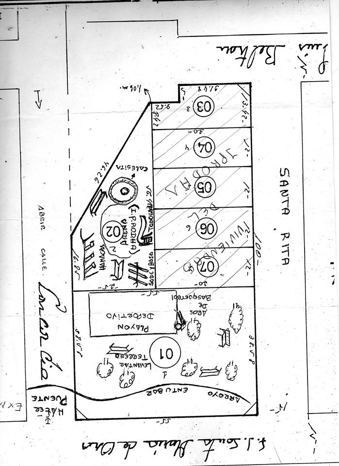
Respecto a la gestión anterior, Jost aseguró que envió notas dirigidas a Daniel Behler, ex concejal y secretario coordinador del ejecutivo para que cumplan con la la ordenanza de la construcción de la plazoleta los niños entre calles Santa Rita, Concordia, Fray Luis Beltran y Santa María de Oro, sancionada el 23 de mayo del 2006 Nº 012 expte Nº 155. La misma fue promulgada el 24 de mayo del 2006 resolución nº 600.
En cuanto al cordón cuneta, es la ordenanza nº 016, ordenando a la Secretaria de Obras Públicas que lleve a cabo la construcción de cordon cuneta y empedrado en la calle Concordia tramo entre calle Estanislao del Campo y su intersección con Av. Misiones. Pasaron 10 años y todo sigue igual por el barrio.
Según los planos de 2006, en el lugar debería haberse construido una plaza que hasta le dieron nombre «Los niños» con un playón deportivo, pero solo hay un baldío hoy.
Con fecha del 13 de abril de 1999, durante la intendente de Miguel Oliveras, el Concejo Deliberante solicita que el ejecutivo lleve adelante la construcción de las obras de empedrado en calle Concordia, entre Roca y Santa María fundamentando que los vecinos «tienen serias dificultades para entrar y salir de sus viviendas».
El 15 de Junio de 2000, durante la gestión de Héctor Dalmau, los vecinos vuelven a reclamar por las obras citando como parte del relevamiento de «necesidades más urgentes» del barrio, la construcción de una plaza, que fue aprobada en marzo de 2000.
El 23 de mayo de 2006, el HCD aprueba destinar espacio verde para la construcción de la plaza «Los Niños» en la manzana 178, parcela 01, sección 9; y dice que el ejecutivo arbitrará los medios necesarios para la instalación de juegos para los niños y señalización correspondiente.
El 24 de mayo se promulga la ordenanza con la firma de Rindfleisch.
El 14 de agosto de 2012, seis años después, nuevamente los vecinos vuelven a dirigirse al intendente de entonces reclamando por las ordenanzas aprobadas y promulgadas. El 25 de febrero de 2013, envían una carta al presidente del HCD de ese momento, Daniel Behler reiterando el reclamo donde reza que pasaron otros seis meses sin respuestas.
Ahora, con la nueva administración, la comisión vecinal envió un pedido de audiencia al intendente pero aún no fueron recibidos.










Un comentario sobre “Reclaman por obras aprobadas en 1999 y 2006 que Rindfleisch no hizo; Fernández aún no los recibió”