No basta con anunciar la construcción de la Seccional cuarta en Villa Torneus o Barrio Norte. En Villa Svea existe la comisaría Tercera, sin embargo, la ola de inseguridad es similar a la de todos los barrios carentes de comisarías. Claro, la cosa es mas compleja.
Como lo publicamos hace algunas ediciones atrás, la Policía tiene poco personal (5 por turno); posee un solo móvil y además solo reciben desde el gobierno provincial, de 2 a 3 vales mensuales de $100 en concepto de combustible para ese único móvil.
A ello se suma que, están las trabas judiciales. Leyes flojas que dejan salir a delincuentes reincidentes. Jueces que dejan en libertad a “amigos”. Allanamientos que la policía no puede hacer aún sabiendo donde y quién es el delincuente, porque requiere la orden judicial, o sea deben convencer al juez, en ocasiones empleando artilugios tales como grabar a quienes aportan datos “soplones”.
Sin embargo, por ignorancia cívica la gente a la hora de buscar responsables de la INSEGURIDAD, siempre señala a al policía, siendo que es responsabilidad y obligación de los gobernantes encarar políticas en serio, dictar leyes adecuadas y hacerlas cumplir, y proveer de todo lo necesario (móviles, personal, comunicación, combustible, etc).
En la mañana de éste lunes y bajo la consigna “Basta de inseguridad” un centenar de vecinos del barrio Villa Svea presentaron un documento firmado por cada uno de ellos que detalla las zonas más vulnerables al delito, según su propia experiencia. Presentaron ese material ante la Municipalidad y ante la CELO (Cooperativa Eléctrica Limitada de Oberá).
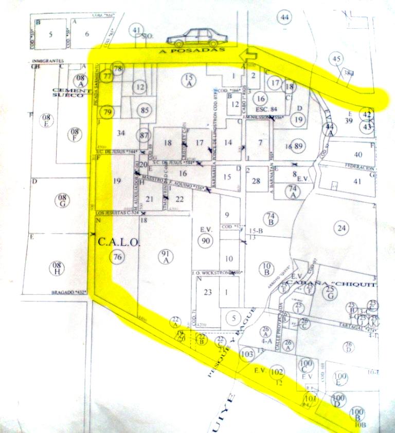
Serviría para que las autoridades puedan ver dónde ocurren los delitos y en qué lugares hace falta reforzar la vigilancia.
En una modalidad que se va extendiendo por casi todos los barrios de la ciudad, vecinos de Villa Svea armaron y presentaron ante el municipio y la cooperativa que brinda los servicios de luz y agua un mapa de la inseguridad en ese tradicional barrio de Oberá.En la nota, los vecinos indicaron que “hay zonas que concentran la mayor cantidad de delitos”, indicando que se trata de las zonas comprendidas entre las Avenidas Picada Sarmiento, De los Inmigrantes, Pincen y Bragado que han padecido una ola de actos delictivos, que afectaron a algunos inclusive más de una vez.También señalaron que “ consideramos que, como empresa concesionaria del servicio de Alumbrado Público la Cooperativa Eléctrica Limitada de Oberá por sí y/o con la colaboración de la Municipalidad de Oberá como organismo público que impone la Tasa de Alumbrado y que todos nosotros pagamos mensualmente en nuestro servicio de energía eléctrica deben instrumentar los medios para mejorar e incrementar, en forma urgente y prioritaria, la iluminación de nuestro Barrio lo que permitiría aumentar el nivel de seguridad de las numerosas familias que vivimos en aquí y queremos ver cómo las Tasas de Alumbrado Público que nos cobran puntualmente en cada boleta de energía eléctrica se traducen en un eficiente servicio que nos beneficie de forma práctica y efectiva”.
Reclaman mayor iluminación para combatir la ola delictiva. Conformaron un Foro Vecinal de Seguridad. En dos meses sufrieron quince asaltos.
En la nota presentada al municipio y a la entidad prestataria del servicio de energía eléctrica, los vecinos afectados impulsores del mapa del delito, indicaron que “hay zonas que concentran la mayor cantidad de delitos”.
Presentes en las reuniones miembros de la Policía de la Provincia admitieron que hay problemas en el área instando a la población a actuar solidariamente entre ellos y con las fuerzas, para prevenir éste tipo de hechos.
Al respecto, una vecina que destacó la importancia de mantener el anonimato por temor a futuras represiones, indicó que “en la actualidad temen inclusive hacer la denuncia, porque al conocer los acusados la identidad del denunciante han embestido contra la integridad física de ellos o sus familiares e inclusive provocaron daños en la propiedad de los damnificados.
Desde la histórica escuela 84, una de las más afectadas se indicó “que el problema existe. El tema de la inseguridad está disperso por todos los barrios. Lo único que hicimos es mostrar una realidad que objetivamente existe. Nunca dijimos que es la peor zona de la ciudad. Me parece bien que se reconozca que hay un problema pero también nos gustaría que se hiciera algo al respecto”.
“En más del cincuenta por ciento de los casos éste tipo de delitos son cometidos por menores, que no son de la zona, donde la ingesta de alcohol y otras sustancias son elementos comunes.” Concluyó uno de los miembros del Foro recientemente conformado.
En todos los casos los firmantes admitieron que si bien se ha planteado un accionar conjunto de la comunidad barrial con la Seccional III de Policía que ha generado buenos frutos, aún resta para revertir la situación de inseguridad la urgente actuación de la Cooperativa Eléctrica Limitada de Oberá y la Municipalidad local, proveyendo de “un servicio eficiente de iluminación que resguarde la vida, integridad y patrimonio de este numeroso grupo de los habitantes, y ayude a evitar en el futuro el acontecimiento de hechos delictivos que hoy pueden prevenirse”

